类型:
不限 书法 印刻 人物 山水 花鸟
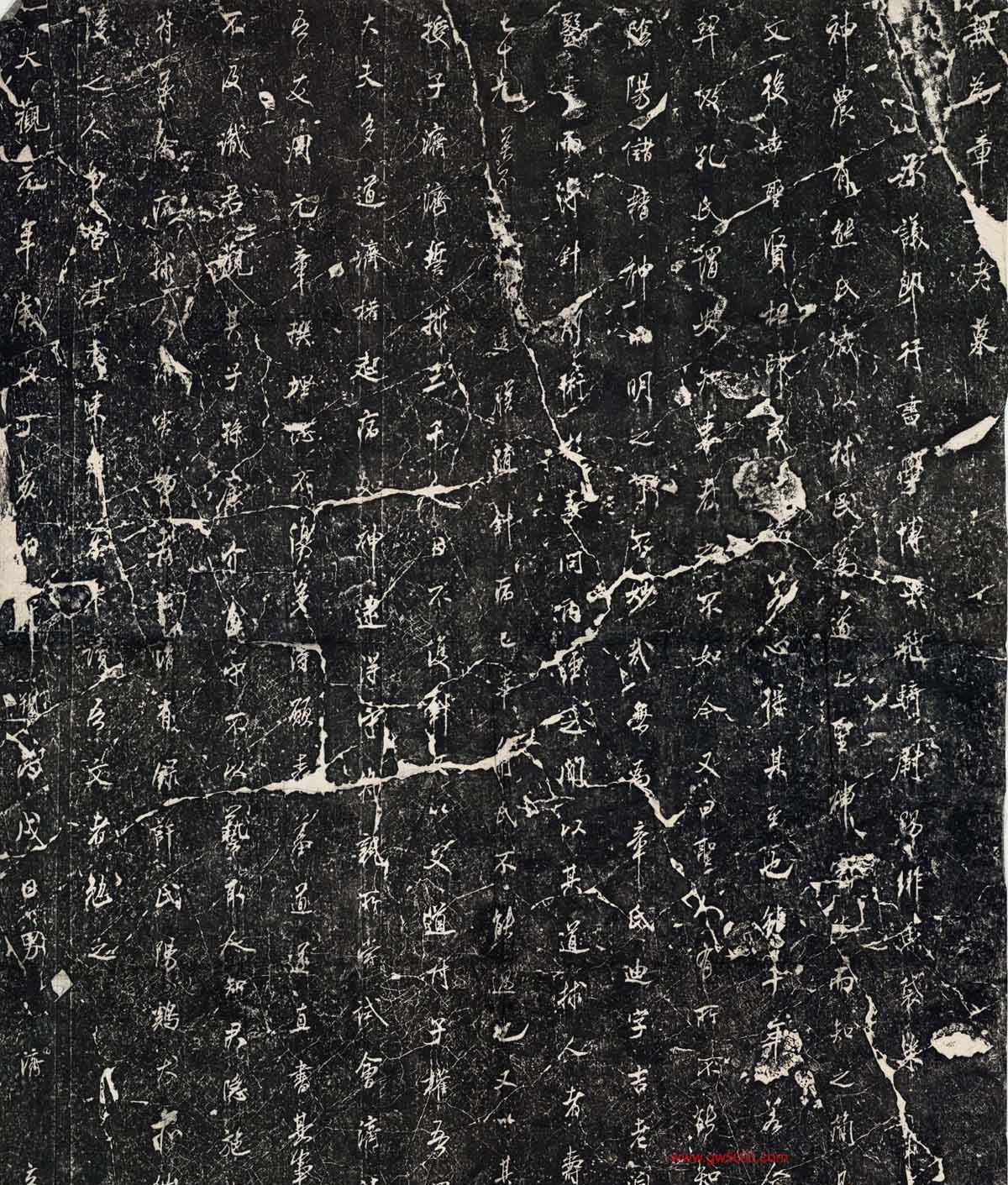
善本碑帖录《米芾行书章迪墓表》

善本碑帖录《米芾行书章迪墓表》

北京圖書館藏中國歷代石刻拓本匯編: 章迪墓表 / 米芾撰并書. 行書原刻. 無為 : 章濟, 北宋大觀元年 [1107]5月1日. 拓片未托裱, 墨紙尺寸: 148 x 116 cm + 56 x 61 cm (額). 淸末拓本.


全部评论(0)
书画名家
© 2013 中国文化网 www.gw5000.com 粤ICP备17004399号 微信:15202072006
搜索 我的

我的收藏

请先登陆